E-Mail senden office@kleinlogel-gmbh.de
Jetzt anrufen
06151 44658
Kunden-Login ODS
Close
Schaben-Ratgeber: FAQ zu Schabenarten in Deutschland

Ist eine Schabe eine Kakerlake?

Als Fachbetrieb reden wir stets von Schaben. Allgemein redet man oft von Kakerlaken. Die Begriffe Schabe und Kakerlake werden synonym verwendet und meinen damit dasselbe Insekt. Der Lateinische Fachbegriff lautet „Blattodea“. Im Gegensatz zu Ameisen gibt es aber selten Verwechslungen bei den deutschen Begriffen, weshalb die eingedeutschten Namen der Schaben stets ihre Gültigkeit haben.

Wie gefährlich sind Schaben?

Allgemein lässt sich nur schwer sagen wie gefährlich Schaben für den Menschen sind. Lässt man die harmlose Waldschabe außer Acht, sind die in Deutschland lebenden Schaben alle potentielle Krankheitsüberträger. Da sie sich in unhygienischen Bereichen wie dem Mülleimer oder auch Abwasserleitungen fortbewegen, haften an ihnen Dreck und Bakterien, die leicht in hygienisch sensible Bereiche wie die Küche oder das Kinderzimmer verschleppt werden können. Allerdings ist eine ernstzunehmen Erkrankung durch Schabenbefall eher unwahrscheinlich.

Welche Schaben kommen in Deutschland vor?

In Deutschland gibt es vergleichweise nur wenige Schabenarten. Da die Tiere vor allem warme und feuchte Gebiete besiedeln, halten sich die meisten Arten in den (Sub-)Tropen auf. In Deutschland sind neben den Waldschaben, vor allem fünf schädliche Arten unterwegs:

1. Deutsche Schabe (Blattella germanica)
2. Orientalische Schabe (Blatta orientalis)
3. Braunbandschabe (Supella longipalpa)
4. Amerikanische Schabe (Periplaneta americana)
5. Australische Schabe (Periplaneta australasiae)

Das Vorkommen der Schaben ist je nach Region etwas unterschiedlich. Die Deutsche Schabe und Orientalische kommen aber wohl am häufigsten in ganz Deutschland vor. Die Braunbandschabe ist zwar ebenfalls weit verbreitet aber deutlich seltener. Amerikanische und Australische Schabe kommen eher gebietsweise vor, da sie nur selten die geeigneten Bedingungen in gewöhnlichen Wohnhäusern finden.

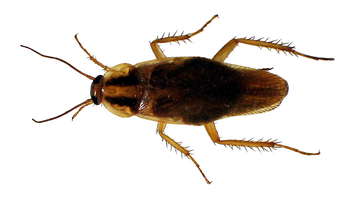
Wie kann ich die unterschiedlichen Schabenarten erkennen?

Schaben sind als Nymphen relativ schwer auseinanderzuhalten. Das liegt daran, dass sie ihre endgültige Färbung erst später bekommen. Als Nymphe sehen sich die Schaben noch recht ähnlich und sind meist nur unter dem Mikroskop genau bestimmbar.
Die erwachsenen Schaben lassen sich aber recht gut an Größe und Färbung erkennen. Zwar gibt es auch noch andere Merkmale wie Fühler und Beinbehaarung. Allerdings wollen wir uns an dieser Stelle auf die einfachen Merkmale konzentrieren:

1. Deutsche Schabe: Zwei schwarze Längsstreifen am Kopfende, hellbraune Färbung, mittelgroß (ca. 15 mm)
2. Orientalische Schabe: Sehr dunkel gefärbt, relativ groß (25 bis 32 mm)
3. Braunbandschabe: Schwarzer Vorderkörper mit hellen Querstreifen (Bändern), hellbrauner Hinterkörper, relativ klein (10 bis 14 mm)
4. Amerikanische Schabe: dunkelbraune Färbung, gelbliches Band am Ende des Kopfes, sehr groß (ca. 50 mm)
5. Australische Schabe: Dunkelbraun bis schwarzbraun gefärbt, gelbe Längsstreifen an den Flügeln, relativ groß (23 bis 30 mm)
6. Waldschabe: viele verschiedene Arten mit unterschiedlicher Größe und Färbung, keine Vermehrung im Innenbereich, auch tagsüber, bzw. in heller Umgebung unterwegs

Wie kommen Schaben in die Wohnung?

Schaben werden (fast immer) eingeschleppt. Meist über Kartons oder Lebensmittelverpackungen aus dem Supermarkt. Manchmal aber auch aus dem Urlaub oder dem Nachbargebäude. Orientalische Schaben legen mitunter auch kleinere Strecken im Außenbereich zurück und können daher auch Nachbargebäude befallen. Alle anderen Schaben sind lediglich im Innenbereich unterwegs und verteilen sich über Abwasserrohre oder Kabelkanäle und Lüftungsschächte. Waldschaben kommen im Sommer oft über Fenster oder Balkone in die Wohnung, überleben im Innenbereich aber nur wenige Tage.

Können Schaben fliegen?

Schaben besitzen zwar Flügelpaare, diese sind aber nicht ausreichend ausgebildet, damit die Tiere damit auch fliegen können. Allenfalls ein Schwebflug gelingt einigen Schaben. Eine Ausnahme bilden die Waldschaben. Diese können auch durch Fenster in die Wohnung fliegen. Meist bewegen sie sich aber wie ihre Artgenossen kriechend fort.

Sind alle Schaben lichtscheu?

Schaben fliehen typischerweise vor hellen Umgebungen, insbesondere stärkeren Lichtquellen. Daher sind die Tiere in der Regel auch nur nachts unterwegs. Lediglich bei starkem Befall sieht man die Tiere auch mal tagsüber laufen. Auch die Braunbandschabe kann vereinzelt tagsüber auftreten, auch ohne das ein starker Befall vorliegt. Lediglich die harmlosen Waldschaben bevorzugen helle Umgebungen. Sie fliegen daher auch Wohnungen an, in denen Licht brennt. Gerade im Spätsommer führt dies oft zu auftauchenden Waldschaben in der Wohnung.

Wie kann ich einen Schabenbefall erkennen?

Da die Tiere nachts unterwegs sind, fällt einem der Befall oft gar nicht oder nur sehr spät auf. Durch Klebefallen kann ein Befall überprüft werden. Außerdem können typische Verstecke wie hinter Kühlschränken oder Waschbecken abgesucht werden. Sogenannte Ootheken (Eipakete) befinden sich oft an diesen Stellen. Kotspuren sind schwer auszumachen, da die kleinen schwarzen Flecke auch von anderen Insekten stammen können oder nicht ausreichend vorhanden sind.

Wie kann man Schaben erfolgreich bekämpfen?

Schaben werden mit Gelköder bekämpft, der in minimalen Dosen (etwa Stecknadelkopf groß) ausgebracht wird. Der Köder muss großflächig ausgebracht werden, sprich im ganzen Gebäude. Da Schaben sich schnell im Gebäude verbreiten, ist eine Bekämpfung stets im gesamten Haus empfehlenswert. Andernfalls kann es sein, dass eine Bekämpfung nach einigen Wochen erneut begonnen werden muss. Je nach Schabenart werden unterschiedlich viel Köder und Räume bekämpft, die Erfolgsaussichten sind zudem unterschiedlich hoch.

Kann man Schaben auch mit Hausmitteln bekämpfen?

Es gibt einige Hausmittel wie Lorbeer oder Essig, die Schaben vertreiben sollen. Natron soll die Schaben auch abtöten. Wir haben die Mittel nicht ausprobiert und können daher nicht mit Sicherheit sagen ob dies funktioniert. Allerdings ist eine Bekämpfung immer nur sinnvoll wenn Sie in den richtigen Abständen und im gesamten Gebäude ausgeführt wird. Eine Schabenbekämpfung mit Hausmitteln oder Köder aus dem Baumarkt wird den Befall sehr wahrscheinlich nur eingrenzen, nicht aber eliminieren. Der Vorteil des professionellen Köders ist die Sekundärvergiftung, die stattfindet wenn Schaben ihre toten Artgenossen fressen. Zudem sollte eine Bekämpfung nach einigen Wochen wiederholt werden, damit Nymphen frischen Köder erhalten, bevor neue Eier abgelegt werden.

Was kostet eine Bekämpfung von Schaben durch Schädlingsbekämpfer?

Eine professionelle Schabenbekämpfung kann sehr unterschiedliche Kosten verursachen. Regelmäßige Überprüfungen (Schädlingskontrollen) sind generell günstiger, da auch nicht immer ein Befall vorliegt. Eine Bekämpfung in einem Mehrfamilienhaus mit vielen Parteien ist wiederum teurer als die Bekämpfung in einem Einfamilienhaus. Auch die Schabenart kann die Kosten einer Bekämpfung beeinflussen. Orientalische und Braunbandschabe benötigen meist mehr Köder und Zeitaufwand als die Deutsche Schabe. Im besten Fall wird ein Angebot über die notwendigen Maßnahmen und Kosten erstellt.